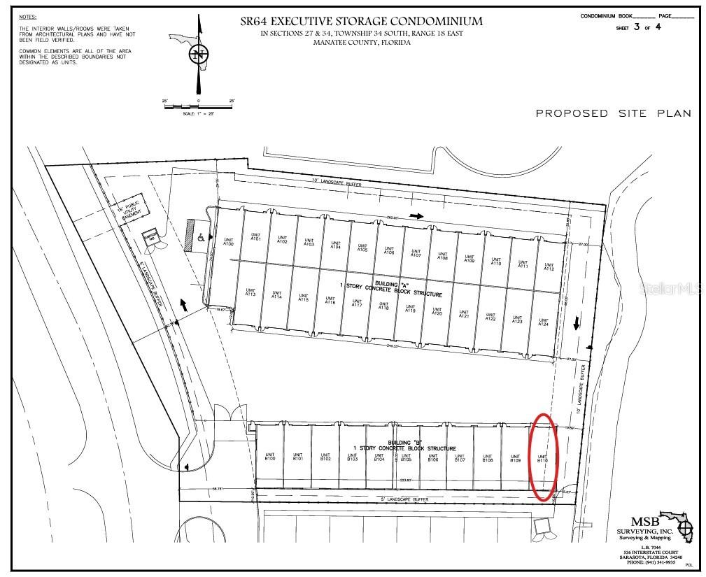
829 57TH STREET E B110BRADENTON, FL 34208




Under Construction. SR 64 EXECUTIVE STORAGE is a brand new, climate-controlled facility for the ultimate Car, RV, and Boat enthusiasts. Conveniently located off SR 64 and west of I75, the location is an easy drive from downtown Sarasota, Bradenton, and all the barrier islands. A safe and secure community comprised of 36 total condominiums, each individually owned. Many of the construction components are Hurricane Impact Rated per Miami-Dade Standards (CAT5) with concrete block and steel reinforcing using a high level of all construction materials. Each garage condo has a motorized 14' H x 12' W garage door with remote and keypad, separate pedestrian entrance, half bathroom, polished concrete floors, 16' ceilings, and more. Low association fees include water, and each unit is individually metered for electric. Safely store your most valuable assets, away from the storm surge possibilities and salty air. For those living on the islands and close to the water, your garage condo will provide shelter when you need to evacuate.
| 6 days ago | Listing updated with changes from the MLS® | |
| 7 months ago | Listing first seen on site |
Listing information is provided by Participants of the Stellar MLS. IDX information is provided exclusively for personal, non-commercial use, and may not be used for any purpose other than to identify prospective properties consumers may be interested in purchasing. Information is deemed reliable but not guaranteed. Properties displayed may be listed or sold by various participants in the MLS Copyright 2026, Stellar MLS.
Last checked: 2026-04-05 09:27 AM EDT







